EMOLTV

Ante la emergencia de Matthew: ¿Por qué no tenemos huracanes en Chile?

El paso del fenómeno climatológico por el Caribe y el sureste de Estados Unidos ya ha dejado más de 300 fallecidos, pero ¿cuál es el motivo de que estos fenómenos no ocurran en nuestro país?

07 de Octubre de 2016 | 12:23 | Emol
imagen
Reuters
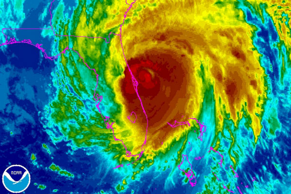
SANTIAGO.- El huracán Matthew continúa su paso, ahora por la zona sureste de Estados Unidos, luego de haber dejado más de 300 víctimas fatales en Haití. Este tipo de fenómenos meteorológicos es común en la zona entre los trópicos, por lo que Chile no se ve afectado por situaciones de este tipo, pero, por qué motivo no llegan los huracanes hasta esta zona del planeta.

El experto de la Dirección Meteorológica de Chile, Cristóbal Toro, explica que "el huracán es un fenómeno es en la zona ecuatorial, entre los trópicos", de carácter "intenso porque viene acompañado por vientos fuertes".

Los huracanes "no se producen en Chile porque el motor o la fuente de energía que tienen es la temperatura y el calor que proviene del océano", condiciones en esta latitud no se encuentran, detalla el meteorólogo.

"Esta siempre se forma en el océano y sólo donde el océano es cálido, donde las temperaturas son sobre los 25 grados Celsius en el mar", continúa Toro y añade que "el huracán una vez que llega a tierra comienza a debilitarse porque deja de recibir de la energía que saca de la temperatura del océano".

Si bien en este país no se produce este tipo de sucesos, no significa que esté libre de situaciones de este nivel. "El huracán es similar a un sistema frontal", sólo que este último es su símil "que se produce en latitudes medias, por lo que afecta a Chile, mientras que el huracán afecta altitudes bajas".

Otro de los factores que influye en la inexistencia de huracanes en Chile son las masas de aires fríos que se generan en las latitudes altas en el polo y avanzan hacia el norte, llegando a las latitudes medias en que se encuentra el país.

El huracán por otra parte, se forma en las zonas tropicales, de latitudes bajas, y avanza hacia el norte, como ocurre en esta oportunidad con el huracán Matthew que ya ha tocado tierra en Estados Unidos luego de su paso por el Caribe.

El efecto del aumento de las temperaturas


Según detalla Cristóbal Toro, "son las diferencias de temperatura los que provocan estas condiciones de viento intenso" y estos fenómenos meteorológicos en el mundo, por lo que comienza a tomar importancia en su intensidad el aumento global de las temperaturas.

Uno de los efectos del cambio climático, según han revelado diversos estudios, es el aumento total de las temperaturas en el mundo en los últimos años, lo que podría aumentar el riesgo de estos fenómenos.

"Para el sistema frontal, las nuevas condiciones, van a tender a que estos sean más intensos, pero menos frecuentes", explica Toro.

Es por eso que "si antes teníamos diez sistemas frontales en el año de intensidad moderada a débil, entonces en el futuro podríamos tener sólo tres eventos, pero con una intensidad mucho mayor", puntualiza el meteorólogo.